Bringing Landowners & Sportsmen Together
Hunting Lease Network logo
Hunters Search Hunting Leases
Hunters Search Hunting Leases
Landowners Lease Your Property
Search
Hunting Properties
Hunters Search Hunting Leases
Hunters Search Hunting Leases
Landowners Lease Your Property
Newest Properties for Lease
Hunting Property Photo
Kansas
Doniphan County
298 Acres
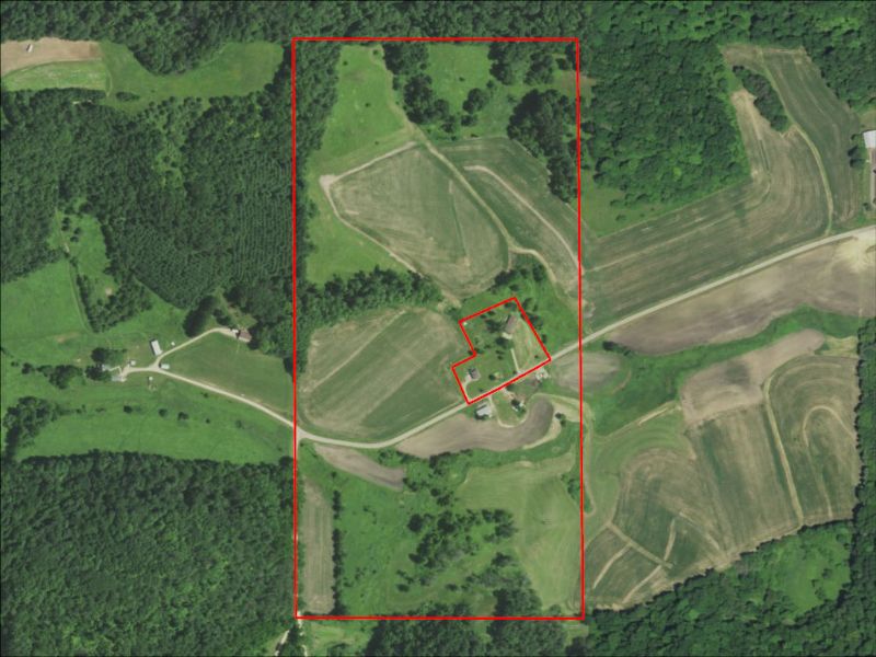
298 ACRE PREMIUM HUNTING LEASE – DONIPHAN COUNTY KS (Southeast of Troy KS) This exceptional hunting lease offers a rare opportunity to access one of Doniphan County’s most naturally beautiful and productive whitetail properties. Located just a few miles southeast of Troy, KS, this farm blends seclusion, habitat diversity, and proven deer history for the dedicated archery hunter. This property is one of the best overall leases I have seen in close proximity of Kansas City. Property Features: • Large rolling hills that create natural bedding, travel corridors, and stand locations. • Deep native timber draws filled with mature hardwoods and thick cover. On my visit I noticed several deer in the creek bottoms and plenty of deer sign. There are reports of turkey on the property although I did not see any on my visit. This Property sets up well for any wind direction! • A live creek winding through the western half of the property, provides a nice water source and a vital role in consistent wildlife movement. • Strong whitetail history, with years of successful harvests and sightings of quality bucks. • Excellent western access, allowing reliable entry even during wet conditions. • Important note: The road on the east side of the property is not maintained when wet, so access from that direction can be limited during certain weather conditions. Foot traffic and ATV use is a must as this farm is well maintained. Lease Details This lease is intended for a serious archery hunter who values quality habitat, responsible stewardship, and long‑term opportunity. The lease term is 12 months, providing access for scouting, hunting and stand location prep. Insurance: A $2 million limited liability insurance policy is landowner and included as part of the lease agreement. Crop acres mix: 200 acres corn, Soybeans and Wheat rotation 68 timber, 32 CRP maintained annually
Hunting Property Photo
Missouri
Monroe County
580 Acres
ANOTHER MONROE COUNTY HOT SPOT!!! Lots of crop acres with some impressive wooded draws and secluded pockets of timber and high quality habitat. The deer sign was impressive with lots of tracks, trails, and rubs where you would expect them to be. Plenty of water sources in the form of ponds and seasonal creeks. Spring migration mallards were jumped from the ponds when scouting. Lots of room for lease members to spread out while deer hunting as the timber and cover areas are nicely dispersed across the property. Good access from several entry points will allow for good approaches with different wind directions. Don't let the aerial photos fool you. This is a big property with lots of quality opportunities. ATV's approve3d for hunting related tasks. No damage to standing crop at any time. The cost of the hunting liability insurance is already included in the lease price.
Hunting Property Photo
Wisconsin
Richland County
90 Acres
This is a 1-year lease for all legal game. Property consists of woods, crop ground, and wooded draws. The lease is split into 2 parcels by Foley Ln. No shortage if great spots to set up. Landowner wants does shot as well as bucks. He has way too much crop damage due to deer. Plenty of regular deer travel routes. There is a picture below of a heavily traveled deer trail coming out of the woods. This is not a cattle trail! There are no cattle on this property. There is a creek running through the northern portion of this parcel. Parts of it have very dense cover. This property is in the southern farm zone. The deer in the picture was shot on this parcel during the 2025 rifle season. The other deer shown were either taken off this property or WISO 0032 or WISO 0034. The picture of the buck in the corn was taken by the property owner on 02-23-2026. This buck was on this parcel when the picture was taken. A friend of the landowners saw this busk last season. Zoom in on the pic and you can see this deer has a huge rack! As per Hunting magazine Richland County has 48+ Boone and Crockett entries. Crops will be primarily corn. Do not shoot near house to the east. Landowner will allow camping in a designated area. There is an easement on the easter part of the north parcel near the owner's home. Richland Center has all the amenities. Will lease WISO 0032, WISO 0033, and WISO 0034 together as 1 lease for $18,414. This is 303 total acres. Maximum 8 hunters. Will also lease any combination of two of these 3 parcels together.
Hunting Property Photo
Wisconsin
Richland County
135 Acres
This is a 1-year lease for all legal game. The property is a good combination of woods, open ground, numerous tree lines, crop ground and a creek running along the northeast corner. A number of the portions of this lease are separated by roads and spaced out enough to allow for a number of hunters without being on top of each other. There is no shortage of deer here and landowner wants deer shot. They are eating way too many crops. Landowner wants does shot in addition to bucks. There is no shortage of deer trails. There are deer trails everywhere as well as rubs. There is an old apple orchard on the southern portion which gets a lot of deer activity. The orchard sits at the bottom of a hill so sitting on the hill will give you great shots. The creek gets a fair amount of deer traffic and is a great spot for a ground blind. This area will be in soybeans. The rest of the crops in the other areas will be mostly corn. The skinned buck in the pictures was taken on the adjoining parcel to the west during the 2025 rifle season. The other bucks in the pictures were either taken off this property or WISO 0033 or WISO 0034.The picture of the buck in the cut corn was taken by the property owner on 02/23/2026. The buck is on the adjoining parcel, WISO 0033. This buck was seen last season by a friend of the landowners. Zoom in on the pic and tell me you don't think there is a monster rack on this deer. Landowner will allow camping in a designated area. The landowner is very accommodating and can put you on the spots where the deer concentrations are the heaviest Richland Center has all the amenities you'd need. As per Hunting magazine, Richland County has 48+ Boone and Crockett entries. Will lease WISO 0032, WISO 0033 and WISO 0034 together for $18,414. This is 303 acres. 8 hunters max. Or will lease any combination of 2 of these 3 parcels together.
Hunting Property Photo
Wisconsin
Sheboygan County
50 Acres
Small parcel that believe it or not holds deer and has plenty of deer traffic through it. Put your stand on the edges of the woods to get deer coming and going to the crop ground. A tripod stand on the edge of the woods will present shooting opportunities. Great to test your long-range shooting skills. Tree line along the norther edge is also good for stands as deer are traveling along this tree line. All legal game. Turkeys in the area. Good area to set up for coyotes. Town of Plymouth has most of the amenities.
Hunting Property Photo
Wisconsin
Taylor County
60 Acres
Not available for the November rifle season but is available for all of bow season. Available for muzzleloader season, rifle doe hunt. Good for all other seasons. Turkey etc. 1 year lease. Lots of hardwoods with open areas. Small pond is a great area for stand set up. Will probably only be hunted by 1 individual for only a few days during rifle deer season. Plenty of deer sign. Available for 3 hunters. Please do not block any driveways when parking. Very close to Medford which has hotels, dining, all the amenities.
Hunting Property Photo
Iowa
Sac County
154 Acres
Price Reduced...154 acres, Sac county, Iowa. High potential for large deer on this beauty just north of Lake Blackhawk (Lake View). Very thick cover - tremendous habitat all up and down the main thoroughfare. Waterfowl also present. Landowner family member lives in house on property. Feel comfortable asking to walk the property. Last two deer photos below taken recently just south of the acreage. There are no cattle on the piece. 115 acres crop, approximately 35 acres of timber and pasture. 3.1 acres of CRP. Creek that is outlet of Blackhawk Lake cuts across property. Fishing rights available. No opportunity for food plots. Landowner would allow hunters to park RV or camp on the farm during hunting season. No electrical hook up. ATV's for hunting purposes only to harvest deer. No driving on crop ground. No commercial operators please. Bid includes premium on $2.0 million liability policy.
Hunting Property Photo
Illinois
Jo Daviess County
220 Acres
Found in the most southeastern Berreman Township of Jo Daviess County, which is contiguous with Carroll County to the south and Stephenson County to the east, one will find this family run farm of 220 acres. It has not been deer or turkey hunted in years and it butts up to two other farm properties that the current landowners do not allow any hunting whatsoever. A nice sanctuary area. This landowner informed me on our property tour that he has seen over fifty deer hitting a pasture field while going out gunning for coyotes. This farm will be open for the first time for hunting. Hunting will be allowed for ALL LEGAL GAME with BOW & GUN. Up to four (4) hunters allowed. ATV use OK for hunting purposes only. Food plot(s) may be allowed with landowner approval. This is a cattle operation and the landowner is willing to work with hunters as best he can regarding cattle. Wherever one passes a closed gate make sure that it is closed and secure behind you. The whole property is fenced so boundaries should not be an issue. He wants to receive an text message a day or so before a hunt. Bid includes the $2M hunting liability insurance.
Want to be notified of new listings in your area?
Sign up for FREE Membership
Hunting Leases are what we do.
Let us help you find find quality, affordable land for your outdoor pursuits.

Why Choose the Hunting Lease Network?
Member Benefits
  • FREE Membership
  • Get notifications of new leases in your chosen state(s)
  • Access full lease details including lease price and auction status
Hunter Benefits
  • Opportunity to inspect the property before you bid
  • Free to view properties or place bids
  • Fair lease price with competitive auction-style format
  • Exclusive hunting rights in a safe environment
  • First right to renew your lease
Landowner Benefits
  • New income source and increased return on your land investment
  • Know who’s hunting on your property
  • Professional lease management services provided by HLN
  • Hunting liability insurance included in all leases
  • Reduce crop damage with wildlife management
Copyright © 2026 National Hunting Lease Network. Licensed broker Farmers National Company DBA Hunting Lease Network. For more information please contact Farmers National Company at 402-496-3276. Website created by Web Solutions Omaha.